政府信息公开
11440523MB2D2565X3/2021-00034
汕头市南澳县自然资源局
2021-03-05
佳兆业航运集团前江湾项目(水上运动体育中心)地下停车场《建设工程规划许可证》批后公告
2021-03-05

佳兆业航运集团前江湾项目(水上运动体育中心)地下停车场《建设工程规划许可证》批后公告

发布日期:2021-03-05  浏览次数:-

  根据依照《中华人民共和国城乡规划法》第四十条规定,经审核,本建设工程符合城乡规划要求,颁发此证。

  许可证号:[2021]南自然资建字第1号

  发证机关:南澳县自然资源局

  发证日期:2021年3月5日

  建设单位(个人):佳兆业航运文体投资(汕头市南澳县)有限公司

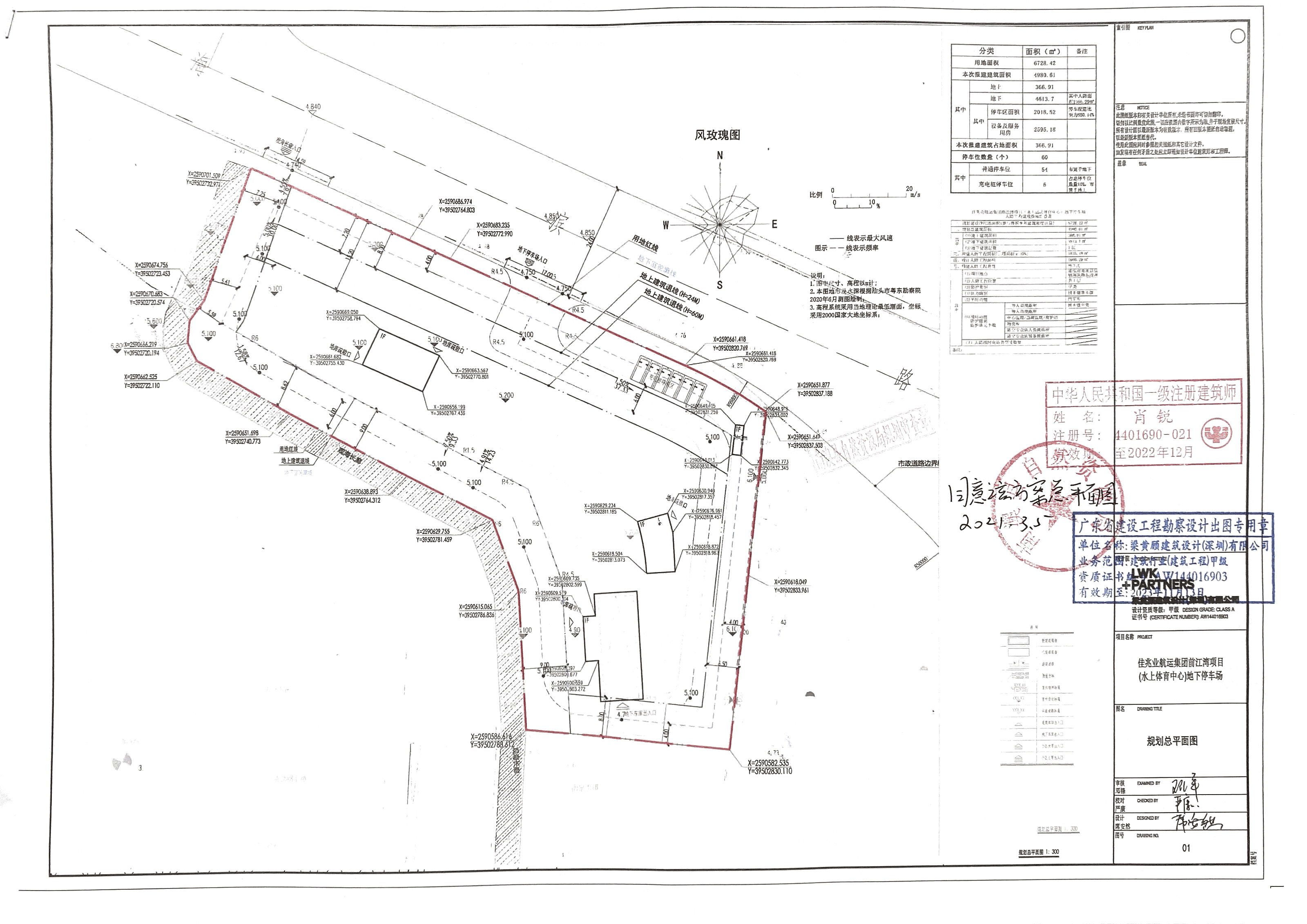
  建设项目名称:佳兆业航运集团前江湾项目(水上运动体育中心)地下停车场

  建设位置: 南澳县后宅镇海滨路东段南侧

  建设规模: 4座1层地库疏散口,1层地下停车库。实用地面积6728.42平方米,总建筑面积4980.61平方米,计容建筑面积366.91平方米,地下室建筑面积4613.70平方米。

   

  许可证.png

  总平面.png


  南澳县自然资源局

  2021年3月5日